Skip To Content

1239 S Kirkwood Road

Houston, TX 77077
  • $279,360
  • STATUS: Active
  • ON SITE: 60 Days
  • MLS #: 53917338
UPDATED: 26 min ago
$279,360
  • 0
    BEDS
  • 0.27
    ACRES
  • 0
    BATHS
  • 0
    1/2 BATHS
Neighborhood:
Type:
Vacant Land / Lots
County:
Area:

School Information

Elementary School:
Middle School:
High School:
School District:

Description

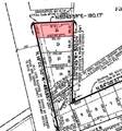
0.27-acre (11,640 sq. ft.) tract of land being Lot 14, Block 1 of the Epernay Subdivision, Section 2, H.K. Lewis Survey, A-42, Harris County. Bidding ends Nov 20, 2025

Monthly Payment Calculator



© 2025 Houston Realtors Information Service, Inc. All rights reserved. All information provided is deemed reliable but is not guaranteed and should be independently verified. IDX information is provided exclusively for consumers' personal, non-commercial use and may not be used for any purpose other than to identify prospective properties consumers may be interested in purchasing. Data last updated 2025-12-16T21:15:44.99.
www.tomeypropertygroup.com/homes/168954424
Print Image

1239 S Kirkwood Road Houston, TX 77077

  • Price: $279,360
  • Status: Active
  • On Site: 60 Days
  • Updated: 26 min ago
  • MLS #: 53917338
0
Beds
0
Baths
0
½ Baths
0.27
Acres
Neighborhood:
Epernay Sec 02
County:
Harris
Area:
31 - West
Elementary School:
Askew Elementary School
Middle School:
Revere Middle School
High School:
Westside High School
School District:
Houston
Property Description
0.27-acre (11,640 sq. ft.) tract of land being Lot 14, Block 1 of the Epernay Subdivision, Section 2, H.K. Lewis Survey, A-42, Harris County. Bidding ends Nov 20, 2025
Property Features

Disclosures None List AOR Houston Association of Realtors Listing Terms Cash Conventional Lot Features Other Possible Use Other Public Survey Section 2 Sewer Public Sewer Tax Legal Description LT 14 BLK 1 TR 3 G LAKESIDE VENTURE U / R EPERNAY SEC 2 Utilities Electricity Available Water Source Public

Listing information © 2025 Houston Association of REALTORS® MLS.
Listing courtesy of Congress Realty, Inc.: .



© 2025 Houston Realtors Information Service, Inc. All rights reserved. All information provided is deemed reliable but is not guaranteed and should be independently verified. IDX information is provided exclusively for consumers' personal, non-commercial use and may not be used for any purpose other than to identify prospective properties consumers may be interested in purchasing. Data last updated 2025-12-16T21:15:44.99.
 
https://bt-photos.global.ssl.fastly.net/harmls/orig_boomver_1_53917338-2.jpg https://bt-photos.global.ssl.fastly.net/harmls/orig_boomver_1_53917338-2.jpg https://bt-photos.global.ssl.fastly.net/harmls/orig_boomver_1_53917338-2.jpg
Logo
Tina Tomey Property Group
102 E Walker St.
League City TX, 77573